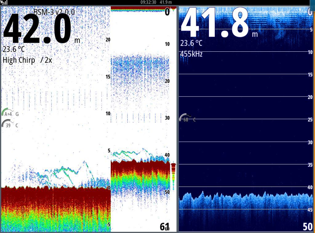
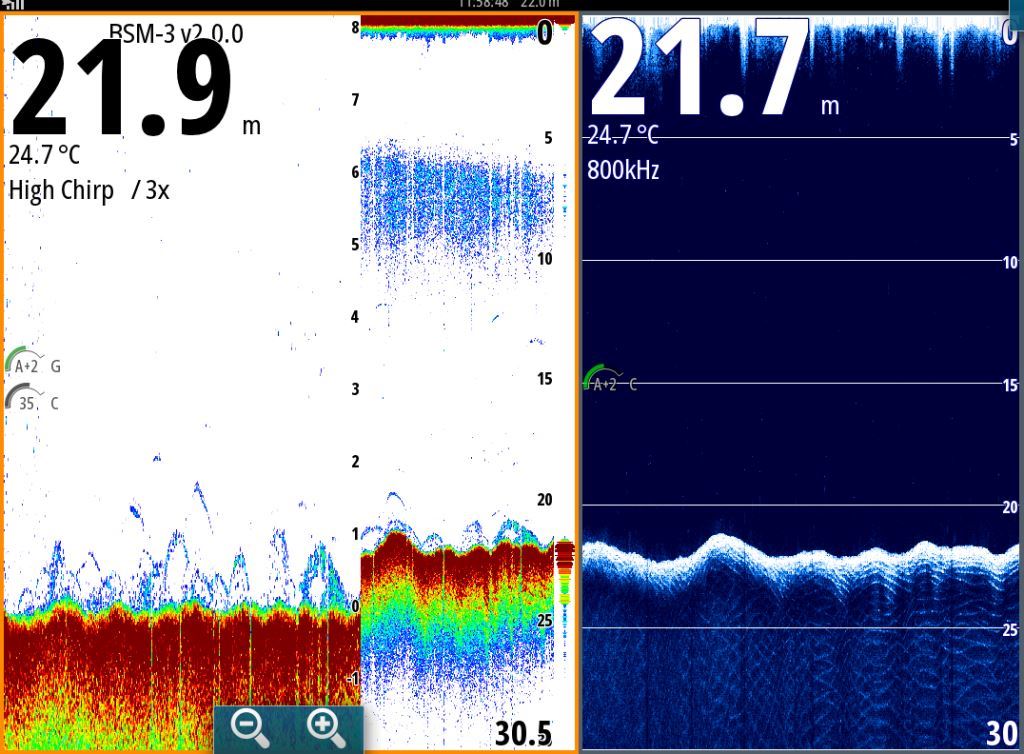
NSS12 CHIRP/downscan screenshots.
Submitted by t bone on Wed, 2015-04-08 13:28
Gday all.
Whilst doing updates to my sounders, thought i would pull some screenshots to share with the world.
Please, feel free to share any advice, as im still getting used to running this new gear.
:)














z00m
Posts: 1086
Date Joined: 10/05/14
Some good looking shows
Some good looking shows there.
Dhuvinile
Posts: 228
Date Joined: 13/05/12
seems you are getting alot
seems you are getting alot of noise threw your screen, this will probably be due to running your sounder off the same battery as alll your other electronics. try running it off the other battery and you should see an improvement in the clarity on screen. also increase the colour to around 38-42 depending on depth
t bone
Posts: 351
Date Joined: 20/04/14
:)
Cheers for the ideas bud. Its hard trying to work out the best colour & gain. Im forever bumping it up or down to see the difference. Its frustrating that every time we start moving a bit faster, it changes the feedback.
Ive actully got planns to put in the 3rd battery next break and go over the wiring runs that the shop installed. They seemed to stuff a few other electronic thigns up, so that might get changed also.